2026.02.14

★沖縄県(沖縄本島・慶良間・石垣島・西表島・久米島・宮古島、等), ダイビングブログ

久米島ダイビングツアー【久米島!陸も海も遊び尽くせ!】2/6-9

久米島ダイビングツアー【久米島!陸も海も遊び尽くせ!】2/6-9

ダイビングデータ

日程:2026/2/6(金)~2/9(月)
行先:沖縄県・久米島
引率・報告:西村明人
天候:曇り
水温:22℃

出会った生き物

アオウミガメ、カスミチョウチョウウオ、キスジカンテンウミウシ
スミレナガハナダイ、キンギョハナダイ、ルリホシスズメダ

海の思い出、おめでとうございます

大寒波?????

そんなものは私たちには関係ありません!

久米島ツアーに行ってきました🌞

寒波の影響はありましたが

何とか陸も海も楽しむことができました★

まずは沖縄に向け出発!!

只今沖縄は絶賛野球キャンプ真っ只中!

飛行機にユニフォームを着た方がいっぱいおられました!

飛行機に向かうバスがまさかの貸し切り!

到着したらまさかの大雨、、、、

ですがショップさんより今からなら2本潜れます!との事

みんなで大急ぎで準備をして到着後2本ボートダイビング

久米島といえばJiC久米島さん!いつみさんの毎回丁寧なガイドで

最高に楽しませていただきました!

水中の透視度もグッド!地形に向け出発!

久米島の為にプールで練習を頑張った甲斐もあり

中性浮力が上達してますね~~~

ベテランのお2人はスイスイ~~~

冬の沖縄はやっぱりきれいですね~~~

マクロ生物ももちろん楽しむのがノリス流!

普段見ない魚が周りにいっぱい!

地形もダイナミックで写真に景色に大忙し💦

水路はいつ通っても冒険感があってワクワク~(∩´∀`)∩

どんどん壁型が高くなってきます~~~

2本目はドロップオフポイントへ!

この下は約40M!

私たちは練習を重ねて挑んでるのでへちゃらでございます!

まさに空を飛ぶ感覚とはこのこと!

練習をしたダイバーにしか味わえない感覚~

たまらね~~~~~~です★

沖縄方面にしかいないカスミチョウチョウウオの群れ

見えないですがその奥にはグルクンも群れていて

ワイドな世界が広がっています~

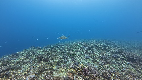
ウミガメにも遭遇~

優雅に私たちの間を通って行ってくれました~

動画をインスタにあげますので是非「ノリス神戸舞子」で

インスタをチェックしてください~

上がる前にはいチーズ✌

最悪中止かも、、、から初日2本ダイビングが出来て

ラッキーな初日でした~

久米島の夕食といえばここ!亀吉さん

まずは初日2本潜れたことにカンパーイ🍺

このお店は「ザルモズク」と言ってモズクを

ごまだれにつけて食べるのが名物!これがまた最高に旨い~

変わったものがあったら食べてみたい

それが旅行のいところ!イカ墨焼きそば!

お歯黒の完成です!みんな歯が真っ黒になりましたね~

明日からいよいよ大寒波の到来!

潜れることを祈って初日はおやすみなさい💤

おはようございます🌞

朝ショップさんよりお電話が午前中は見送りましょうと・・・

しかし午後からは潜れるかも!それに備えて腹ごしらえ!

沖縄そばじゃないですよ!久米そばです!

ダイビング前にはちょうどいいさっぱりしたお味~~~

午後からは潜れました~~~~~

寒波に勝利しました!皆様準備万端でいざ大海原へ~

少し?どんよりしていますがダイバーには関係なし

心は潜れるだけで快晴でございます!

本日もいつみさんの面白いブリーフィングに

皆様釘付け!勉強させていただきます!

見てくださいこの透き通った海を~~~~

冬なので浮遊物(ダジャレではありません)もなく

目の前に水が無いみたい~

2日目も地形を攻めますよ~

海がキレイだとダイナミックが割り増し!

全てがデカい!しかもそれが全て見えるので

圧倒されてしまいます~~🔥

洞窟を目指して岩の間をすいすい~~~

道中も楽しい~🤭

洞窟の出口はハート形に!ロマンティック❤

何処まで行っても水がキレイすぎて感動!

少し海の写真が少なく申し訳ございません!

また写真を追加してアップいたします★

2日目は銀太郎さんで宴です~

壁には一面、東北楽天ゴールデンイーグルスのサイン

楽天ファンの方にはたまらないお店!

沖縄フルコース!

海ぶどう、ゴーヤチャンプルー、モズク!

軟骨ソーキのあぶり焼き!

名前でご飯が2杯は行けそう(笑)

久米島の名産!車エビ

ぷりっぷりをこえごりっごり!もちろんいい意味でですよ!

2日目も何とか2本ダイビングが出来て

いよいよ明日はダイビング最終日!

潜れること祈って就寝💤

おはようございます!

写真を見て頂ければ、、、、、、、、くそぉ~~~~~

流石に3日目は寒波に負けちゃいました

西村の晴れ男パワー力及ばずでした😢

ですが切り替えて久米島を遊び尽くそうツアーを決行!

ベタですがまずはシーサー作り!

みんなそれぞれ表情が違いやればやるほど没頭してしまい

2時間があっという間に終わってしまいました!

西村作!「全力スマイルシーサー」家に届くのが待ち遠しい~

お昼はエビみそそばに行ってきました!

有名人もいっぱい来るお店で開店直後に行ったので

待たずに入れましたが、食べ終わって店を出る頃には

店の前には行列が出来ていました~ラッキー★

続いては城跡に行ってきました

360度久米島を見渡せる絶景スポット!

久米島の一番高い山の上に車で行けちゃいます!

車で走っていてカーブを曲がったら

急に馬を発見!サトウキビをムシャムシャ

記念に車から降りてはいチーズ✌

久米島では楽天の2軍キャンプ真っ只中!

少しキャンプを覗いてきました👀

実はホテルが楽天の選手と一緒だったので

お風呂や食堂など至る所で楽天の選手とご一緒させていただきました⚾

背格好が大きすぎてすぐに選手だと分かります!

久米島堪能ツアーの締めくくりは畳岩!

流石沖縄曇りでもエメラルドグリ~ン!

最終日は少し味を変えてイタリアン~

ツアーで行くご飯屋さんはどこも美味しい!

プライベートでも行きたいくらい~

最終日は念願の果ての浜へ!

このボートに乗る時のタイミングが重要!

少しアトラクションなボートを楽しんでいざ上陸!

少し青空が見えました~~~

しっかり映えスポットも楽しんで久米島の観光スポット

コンプリート!次からは陸の観光も完璧になっちゃいました

最終日のお昼は亀吉さんリピートで初日に食べそびれた

タイ焼きを食べて締めくくり!

今回は少し消化不良な部分もありますが

絶対にリベンジをしましょうね☆

舞子店西村ラスト大型にご参加いただきありがとうございました🎉